QR Code

AvareX

September 18, 2024

More About AvareX

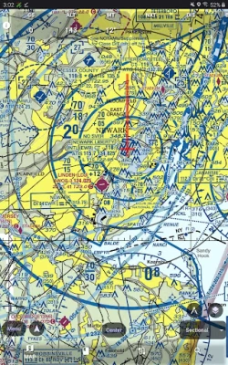
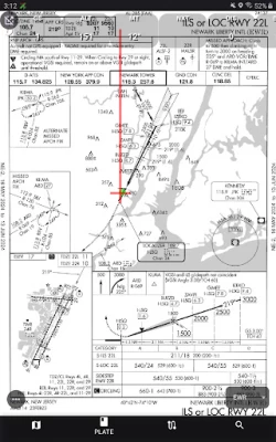
AvareX is designed for pilots and contains Geo-referenced FAA Aeronautical Charts, IFR (High and Low), VFR (Sectional and TAC), Flyway, helicopter, instrument approach plates, and Chart Supplements for the United States and its territories only. For charts outside of the Unites States AvareX relies on "OSM" or Open Street Maps. AvareX supports ADS-B In data from any Wi-FI GDL-90 device (e.g. StratuX, late model StratuS, iLevil, etc.) and will display traffic, weather, and other ADS-B received data.
AvareX is completely free to use without cost, paid subscription, ads, or sale of your personal information. AvareX is a pending replacement for the original Avare application. AvareX is community supported and funded through user donations.

AvareX is currently in the Beta version active development stage. Pilots are testing AvareX, using it in flight, providing feedback, and submitting feature requests.

We invite you to join the international Apps4Av community in further refining this amazing app. Join our YouTube Channel and Google Groups Forum, and help to our further refining of AvareX (X=Cross-Platform). AvareX is the next generation of the popular legacy Single-Platform (Android only) Avare app. AvareX now runs on every major computing platform: iOS (iPhone/iPad), MacOS, Windows, Linux, ChromeOS, and of course Android.

Latest Version

Version
0.0.30
Update
September 18, 2024
Developer
Apps For Aviators
Apps
Internet
Platforms
Android
Downloads
449
License
Free
Package Name
com.apps4av.avaremp
Download Now
Add Comment & Review

User Reviews

Gwen Walcott

1 year ago

I can't find synopsis of difference between Avare Classic and Avare X? How should I know which one to use?

Andrew Stempel

1 year ago

Good product for VFR flying. For IFR, a far cry from iFly. The cost of an efb is a non-issue for pilots already paying for panel GPS updates. From what I can see, one cannot load an approach on Avare. Instead of high altitude charts and autopilot connectivity, the developers should concentrate their efforts on features for the likely user of Avare, like those of Iflys VFR product, such as their Vector chart with user definable detail. I suggest scaling for ipad mini, Lenovo M9 or Samsung A7

Add Comment & Review
We'll never share your email with anyone else.
Appxoo: 2025 Download Trending Apps: Dating, Gaming, Health, Financial, Music, Video, Travel, Education, Productivity, Learning & More